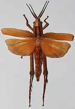
Aeolacris caternaultii

Aeolacris caternaultii est une espèce d'insectes orthoptères de la famille des Romaleidae[1].

Distribution

Cette espèce est endémique de Guyane[1].

Elle se rencontre dans la forêt tropicale.

Systématique et taxinomie

Cette espèce a été décrite sous le protonyme Xiphicera caternaultii par l'entomologiste Joachim François Philibert Feisthamel en 1837.

Étymologie

Cette espèce est nommée en l'honneur de Louis-Philippe Caternault, adjudant-major au bataillon de Cayenne, qui est le découvreur de l'holotype. Celui-ci est déposé au Muséum national d'histoire naturelle.

Galerie

Publication originale

  • Feisthamel, 1837 : X. de Caternault, X. caternaultii, Feisthamel. Magasin de Zoologie, vol. 7, p. 1-2 (texte intégral).

Notes et références

Liens externes

  • icône décorative Portail de l’entomologie
  • icône décorative Portail de la Guyane