Brachycarenus tigrinus

Brachycarenus tigrinus
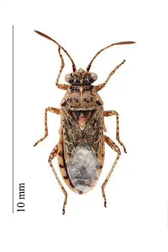
Description de l'image Brachycarenus tigrinus.jpg.
Classification Catalogue of Life
Règne Animalia
Embranchement Arthropoda
Classe Insecta
Ordre Hemiptera
Super-famille Coreoidea
Famille Rhopalidae
Genre Brachycarenus

Espèce

Brachycarenus tigrinus
(Schilling, 1829)[1]

Synonymes

  • Corizus tigrinus (Schilling, 1829)[1]
  • Rhopalus tigrinus Schilling, 1829[1]

Brachycarenus tigrinus est une espèce d'hémiptère de la famille des Rhopalidae.

Description

L'adulte mesure de 6,2 à 7 millimètres de long. Il a une couleur de base jaune paille avec un motif noir sur la tête, en particulier autour des yeux composés. Le pronotum est tacheté de noir, surtout aux coins postérieurs[2]. Le scutellum a des motifs basaux noirs. La tête est plus courte et moins pointue que chez les représentants des genres Rhopalus et Stictopleurus.

Répartition

L'espèce est présente de l'Afrique du Nord à travers la région méditerranéenne jusqu'au sud de la Scandinavie. Plus à l'est, on peut la trouver en Chine. L'espèce fut introduite dans l'est de l'Amérique du Nord dans la seconde moitié du XXe siècle (première mention : 1977 dans le New Jersey[3]).

Elle s'installe dans des habitats secs et chauds, en particulier avec des sols sableux, comme sur les zones rudérales et en jachère.

Comportement

Les adultes sont très actifs en vol, surtout à des températures élevées. On peut les trouver à la recherche de sites d'hivernage appropriés sur une variété de plantes, y compris des conifères ; ils peuvent parfois envahir les bâtiments. L'hibernation a lieu dans la litière du sol ou sous des rosettes végétales. Une génération se produit chaque année, mais on suppose que les années favorables, du moins dans le sud de l'Allemagne, une deuxième génération se forme. Les adultes de la nouvelle génération apparaissent à partir de juin.

Parasitologie

L'insecte est un parasite des plantes Arabidopsis thaliana, Berteroa incana, Capsella bursa-pastoris, Descurainia sophia, Hirschfeldia incana, Lepidium latifolium, Lepidium ruderale, Lepidium virginicum, Noccaea perfoliata, Sisymbrium altissimum, Sisymbrium officinale[4].

Notes et références

  1. 1 2 3 GBIF Secretariat. GBIF Backbone Taxonomy. Checklist dataset https://doi.org/10.15468/39omei accessed via GBIF.org, consulté le 15 septembre 2022.
  2. Étienne Mulsant, Histoire naturelle des punaises de France, vol. 1, Savy et Deyrolle, (lire en ligne), p. 143-144
  3. (en) United States. Congress. House. Committee on Appropriations. Subcommittee on Agriculture, Rural Development, and Related Agencies, Agriculture, Rural Development, and Related Agencies Appropriations for 1979 : Hearings Before a Subcommittee of the Committee on Appropriations, House of Representatives, Ninety-fifth Congress, Second Session, vol. 7, U.S. Government Printing Office, (lire en ligne), p. 137
  4. (en) « Brachycarenus tigrinus », sur Plant Parasites (consulté le )

Liens externes

Ressources relatives au vivant :
  • icône décorative Portail de l’entomologie