Cicindelini
Cicindelini
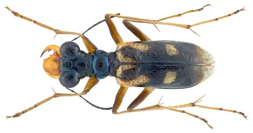
Cicindela chinensis japonica.
| Règne | Animalia |
|---|---|
| Embranchement | Arthropoda |
| Classe | Insecta |
| Ordre | Coleoptera |
| Famille | Carabidae |
| Sous-famille | Cicindelinae |
Sous-tribus de rang inférieur
- Cicindelina
- Iresina
- Oxychilina
- Prothymina
- Theratina
- Cicindeletae Latreille, 1802
Les Cicindelini sont une tribu d'insectes coléoptères de la famille des Carabidae et de la sous-famille des Cicindelinae.
Therates fruhstorferi, Parc national de Tam Dao, Vietnam.
Therates probsti, Parc national de Tam Dao, Vietnam.
Therates vietnamensis, Parc national de Tam Dao, Vietnam.
Références
- ↑ Latreille, P.A. 1802: Histoire naturelle, générale et particulière des Crustacés et des Insectes. Tome 3. F. Dufart, Paris.
- (en) Moravec, J. 2016. Taxonomic and nomenclatorial revision within the Neotropical genera of the subtribe Odontocheilina W. Horn in a new sense—15. The genus Opisthencentrus W. Horn (Coleoptera: Cicindelidae). Zootaxa 4097(3): 332–340. DOI 10.11646/zootaxa.4097.3.2
Liens externes
- (en) BioLib : Cicindelini Latreille, 1802
- (en) Catalogue of Life : Cicindelini Latreille, 1802 (consulté le )
- Portail de l’entomologie