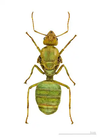
Formicinae

Les formicinés (Formicinae) sont une sous-famille d'insectes hyménoptères de la famille des formicidés (fourmis).

Les espèces de cette sous-famille sont divisées en différentes tribus (dont 8 représentées en France).

Les genres les plus courants en Europe sont :

  • Lasius  : fourmis généralement de petite taille. De noires à orange, elles sont très présentes.
  • Formica  : genre évolué de bonne taille, certaines de ces fourmis (groupe rufa par exemple) développent des monticules de brindilles dans les forêts de conifères.
  • Camponotus : fourmis de très grande taille qui peuvent atteindre deux centimètres.

Classification

Liste des genres par tribu, d'après AntCat[1] :

  • Camponotini Forel, 1878 :
    • Calomyrmex Emery, 1895
    • Camponotus Mayr, 1861
    • Chimaeromyrma Dlussky, 1988
    • Echinopla Smith, 1857
    • Forelophilus Kutter, 1931
    • Opisthopsis Dalla Torre, 1893
    • Overbeckia Viehmeyer, 1916
    • Phasmomyrmex Stitz, 1910
    • Polyrhachis Smith, 1857
    • Pseudocamponotus Carpenter, 1930
  • Formicini Latreille, 1809 :
    • Alloformica Dlussky, 1969
    • Bajcaridris Agosti, 1994
    • Cataglyphis Foerster, 1850
    • Cataglyphoides Dlussky, 2008
    • Conoformica Dlussky, 2008
    • Formica Linnaeus, 1758
    • Iberoformica Tinaut, 1990
    • Polyergus Latreille, 1804
    • Proformica Ruzsky, 1902
    • Protoformica Dlussky, 1967
    • Rossomyrmex Arnol'di, 1928
  • Gesomyrmecini Ashmead, 1905 :
    • Gesomyrmex Mayr, 1868
    • Prodimorphomyrmex Wheeler, 1915
    • Santschiella Forel, 1916
    • Sicilomyrmex Wheeler, 1915
  • Gigantiopini Ashmead, 1905 :
    • Gigantiops Roger, 1863
  • Lasiini Ashmead, 1905 :
  • Melophorini Forel, 1912 :
    • Melophorus Lubbock, 1883
  • Myrmecorhynchini Wheeler, 1917 :
    • Myrmecorhynchus André, 1896
    • Notoncus Emery, 1895
    • Pseudonotoncus Clark, 1934
  • Myrmoteratini Emery, 1895 :
    • Myrmoteras Forel, 1893
  • Notostigmatini Bolton, 2003 :
    • Notostigma Emery, 1920
  • Oecophyllini Emery, 1895 :
  • Plagiolepidini Forel, 1886 :
    • Agraulomyrmex Prins, 1983
    • Aphomomyrmex Emery, 1899
    • Brachymyrmex Mayr, 1868
    • Bregmatomyrma Wheeler, 1929
    • Euprenolepis Emery, 1906
    • Lepisiota Santschi, 1926
    • Myrmelachista Roger, 1863
    • Nylanderia Emery, 1906
    • Paraparatrechina Donisthorpe, 1947
    • Paratrechina Motschoulsky, 1863
    • Petalomyrmex Snelling, 1979
    • Plagiolepis Mayr, 1861
    • Prenolepis Mayr, 1861
    • Pseudolasius Emery, 1887
    • Tapinolepis Emery, 1925
    • Zatania LaPolla, Kallal & Brady, 2012
  • incertae sedis :
    • Attopsis Heer, 1850
    • Leucotaphus Donisthorpe, 1920
    • Liaoformica Hong, 2002
    • Longiformica Hong, 2002
    • Magnogasterites Hong, 2002
    • Orbicapitia Hong, 2002
    • Ovalicapito Hong, 2002
    • Ovaligastrula Hong, 2002
    • Protrechina Wilson, 1985
    • Sinoformica Hong, 2002
    • Sinotenuicapito Hong, 2002
    • Wilsonia Hong, 2002

Notes et références

Liens externes

  • icône décorative Portail de l’entomologie