François Dollier de Casson

| Vicaire général Archidiocèse de Montréal | |
|---|---|
| à partir de |
| Naissance | |
|---|---|
| Décès | |
| Domicile |
Site d'hivernage (d) |
| Formation | |
| Activités |
| Ordre religieux |
|---|
François Dollier de Casson, né au Grand-Fougeray en 1636 et mort à Montréal, le , est un militaire, explorateur, ingénieur et missionnaire sulpicien chargé de développer la Nouvelle-France.
Il est considéré comme le second fondateur de Montréal et a écrit la première histoire de la ville.
Biographie
Jeunesse et études
François Dollier de Casson est né en 1636 au manoir de la Praye, paroisse de Fougeray (Ille-et-Vilaine) alors située dans le diocèse de Nantes[1].
Le 9 septembre 1651, ses parents « Écuyer Claude Dollier et Dame Françoise d'Escaillum, demeurant en leur maison de la Praye en Fougeray, achètent à Messire Charles d'Andigné, chevalier des ordres du Roy et seigneur-baron d'Angris en Anjou, la seigneurie du Plessis de Casson, de la Barillière (de Beaumont) et du Moulin cise en la paroisse de Casson, diocèse de Nantes »[2], ainsi, le 11 septembre 1651, l’Écuyer François Dollier, âgé de 15 ans devient propriétaire du manoir et des terres de la Praye[3].
Selon A. De Brehier, la Seigneurie du Plessis de Casson a été achetée par son père (en 1651), afin de pouvoir ajouter la particule noble De Casson à son nom[4], toutefois, les propriétaires successifs du manoir de la Praye, descendants de l'écuyer Claude Dollier (père de François Dollier), ne portent jamais officiellement la particule De Casson[5].
Seul François Dollier ajoute cette particule De Casson à son nom, après son ordination en tant que prêtre sulpicien; lorsqu'il rejoint son affectation à Montréal, alors Seigneurie de l'Ordre de Saint-Sulpice, afin dit-on, de traiter d'égal à égal avec « ces Messieux de Saint-Sulpice », Seigneurs de l'Isle de Montréal[6].
Militaire à 16 ans (de 1652 à 1657) dans l'armée de Turenne, séminariste en 1657, année où il entre au Séminaire Saint-Sulpice à Paris pour y étudier jusqu'en 1666 année de son premier voyage en Nouvelle France, aumônier dans l'armée de Prouville de Tracy, engagée contre les Indiens Agners (Mohawks), explorateur aux côtés de René-Robert Cavelier de La Salle qui recherchait une voie fluviale en direction de la Chine, les Montréalais appelèrent les terres de Cavelier de La Salle La Chine par dérision, il évangélise les Indiens de la rivière Mississippi au Canada,
Pacificateur et diplomate près des Indiens Agners (Mohawks), Iroquois, Montagnais, Hurons, Outaouais et Algonquins), il s'opposa parfois avec force au Gouverneur de la Nouvelle France.
Créateur d'écoles afin d'enseigner aux Indiens, administrateur, architecte, ingénieur, il est le concepteur en 1680 du Canal de Lachine qui ne fut achevé qu'en 1825.
Premier voyage 1666-1674

En 1666, il part pour la Nouvelle France. L'hiver 1666-67 est une dure initiation alors qu'il est l'Aumonier d'Alexandre de Prouville de Tracy lors d'une expédition contre les Agniers (Mohawks). Il est envoyé la même année au fort Sainte-Anne du lac Champlain. L'année suivante, il est chargé de la cure des Trois-Rivières, l'espace d'un an.
Décidé à apprendre la langue algonquine, il se rend aux Grands Lacs avec René Bréhant de Galinée en juin 1669. Il revient par la rivière des Outaouais et arrive à Ville-Marie en juin 1670.
Il évangélise les Indiens de la rivière Mississippi, où il planta une croix et prit possession de la région au nom du Roy de France, avec cette inscription « François Dollier, prêtre du Diocèse de Nantes ».
Supérieur des Sulpiciens à Ville-Marie
Les Sulpiciens possesseurs de la Seigneurie de Montréal depuis 1663 demandèrent à Dollier de Casson de devenir le Supérieur de Montréal. Ainsi, en 1671, il est nommé Supérieur de l'Ordre de Saint-Sulpice et Grand Vicaire de Montréal, mission dans laquelle il s'engagea avec énergie.
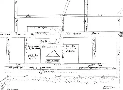
Bien qu’il ne soit pas un homme de lettres[7], il commence en 1672 la rédaction de son manuscrit Histoire du Montréal. Dollier prétend que ce texte est dédié aux infirmes du Séminaire de Saint-Sulpice à Paris plutôt qu’à ses supérieurs[7]. Avec l'aide de Bénigne Basset, arpenteur, il fait le premier tracé des rues de Montréal.
Quand les Sulpiciens décidèrent la construction d'une église, François Dollier de Casson en fit le plan en 1673. Cette première église Notre-Dame érigée dès 1674, servira de 1678 à 1829, date de construction de la Basilique Notre-Dame de Montréal.
Le 14 février 1674, en traversant un lac gelé, la glace se rompt, il reste plusieurs heures à demi immergé, il réussit cependant à regagner la rive mais attrape une très grave pneumonie, qui l'affaiblit de jour en jour, aussi, sur ordre de ses supérieurs, il rentre à l'automne 1674 en Bretagne se soigner chez sa sœur Renée, épouse de Gabriel Peschard, seigneur de Bossac[8], au château de la Thébaudais en Saint-Ganton, paroisse attenante à la paroisse de Grand-Fougeray, il y restera jusqu'au printemps 1678.
Pendant son séjour chez sa sœur Renée Peschard de Bossac, il sera le précepteur de ses deux neveux, moyennant une rente annuelle de 1 200 livres. Durant cette convalescence au château de la Thébeaudais, il continue la rédaction de son manuscrit Histoire du Montréal[9].
Second voyage 1678-1701

Désirant revenir à Ville-Marie, il repart en Nouvelle France au printemps de 1678.
En 1680, il reprend l'idée de François de Salignac Fénélon, et conçoit les plans d'un canal visant à relier Ville-Marie et Lachine: le canal de Lachine. On commence les travaux mais des bancs rocheux amènent l'arrêt de l'entreprise. En juin 1689 la construction recommence à l'ouest mais elle est arrêtée brusquement en août par une attaque amérindienne qui massacre la plupart des colons de Lachine. En 1697, le canal Saint-Gabriel relie finalement la rivière Saint-Pierre à la Pointe-à-Callière.
De 1683 à 1688, il fait ériger le vieux séminaire de Saint-Sulpice de la rue Notre-Dame, édifice le plus ancien encore intact dans le Vieux-Montréal[10].
Il meurt le [réf. nécessaire].
À sa mort, les Amérindiens diront de lui : « Dollier çà c'est un homme !!! »[réf. nécessaire]
Œuvres
Restée à l'état de manuscrit, conservée à Paris, son Histoire du Montréal a finalement été publiée. Il existe plusieurs versions.
- Marcel Trudel et Marie Baboyant, Histoire du Montréal, Nouvelle édition critique, Montréal, Hurtubise HMH, coll. « Cahiers du Québec, Collection documents d'histoire », , 342 p.
- François Dollier de Casson et Eusèbe Senécal, Histoire du Montréal, 1640-1672 : Édition conforme au manuscrit de Paris, Montréal, (1re éd. 1672) (présentation en ligne)
- A History of Montreal 1640-1672. Translated and Edited With a Life of the Author By Ralph Flentey, London: J. M. Dents & Sons, 1928
Bibliographie
- Marie Baboyant, Une mise à jour de l'histoire du Montréal de François Dollier de Casson (1672), dans Les Origines de Montréal, Actes du colloque organisé par la Société historique de Montréal, Leméac, Montréal, 1993.
- Marcel Fournier, Les Bretons en Amérique, Éditions les Portes du large [réf. incomplète]
- André Vachon, « Dollier de Casson ou l’écriture à l’état naissant », Études françaises, vol. 28, nos 2-3, automne-hiver 1992, p. 169-177 (lire en ligne)
Notes et références
- ↑ Archives et registres des Baptêmes, Mariages et décès de la paroisse de Grand-Fougeray.
- ↑ Aveux d'obéissance rendus à la Seigneurie, Cour et Marquisat de Fougeré, proche de la Seigneurie, Cour et Juridiction d'Anguinac, en Fougeré, reçus du 23 mars 1556 au 25 août 1708 et conservés au manoir de la Praye jusqu'en 1968
- ↑ Aveux rendus à la Seigneurie de Fougeré le 16 août 1652 par François Dollier Écuyer, demeurant en sa maison de Port de Roche en Fougeré
- ↑ A. De Brehier, Fougeray depuis le XIe siècle à nos jours - 1895
- ↑ Du 9 septembre 1651, date d'achat de la Seigneurie de Casson par Écuyer Claude Dollier, son père, au 25 août 1708 se succèdent :
- Écuyer François Dollier (né en 1636), son fils, propriétaire du 11 septembre 1651 au 21 avril 1661, du manoir et des terres de la Praye, d'une valeur de 10 000 livres tournois.
- Écuyer Julien Dollier (né en 1637), son fils, propriétaire à compter du 21 avril 1661, du manoir et terres de la Praye (après échange avec son frère François Dollier, rentré au Séminaire Saint-Sulpice à Paris)
- Dame Françoise Dollier, fille de Julien Dollier, petite-fille de Claude Dollier, et nièce de François Dollier, propriétaire du manoir et des terres de la Praye en date du 25 août 1708.
- ↑ Les Aveux de simple obéissance à la Seigneurie de Fougeré, pour la période du 11 septembre 1651 au 12 may 1661, mentionnent simplement : « Écuyer François Dollier demeurant en sa maison de Port-De-Roche, paroisse de Fougeré »
- 1 2 André Vachon, « Dollier de Casson ou l’écriture à l’état naissant », Études françaises, vol. 28, nos 2-3, automne-hiver 1992, p. 169-177 (lire en ligne)
- ↑ il sera assassiné dans son château, en 1695
- ↑ Marcel Fournier, Les Bretons en Amérique Française
- ↑ Bibliothèque et Archives nationales du Québec. et Roy, Julie, 1970-, La Bibliothèque de "Ces Messieurs" : le livre chez les Sulpiciens en Nouvelle-France, Bibliothèque et Archives nationales du Québec, cop. 2007 (ISBN 978-2-551-23529-2 et 2551235294, OCLC 300385370, lire en ligne)
Voir aussi
Articles connexes
Liens externes
- Ressource relative à plusieurs domaines :
- Ressource relative aux beaux-arts :
- Notices dans des dictionnaires ou encyclopédies généralistes :
- Fiche d'un personnage : François Dollier de Casson
- L'Encyclopédie canadienne : Dollier de Casson, François
- Dictionnaire biographique du Canada : Dollier de Casson, François
- Fiche de Histoire du Montréal à la Grande Bibliothèque du Québec
- Université d'Ottawa : François Dollier de Casson et René Bréhant de Galinée
- Portail de la Bretagne
- Portail de Montréal
- Portail de la Nouvelle-France
- Portail du XVIIe siècle
- Portail du catholicisme