Leptopodoidea
Les Leptopodoidea forment une super-famille d'insectes hémiptères hétéroptères (punaises) de l'infra-ordre des Leptopodomorpha[1].
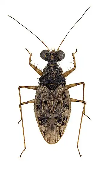
Description
Il s'agit de punaises petites à très petites, ovales, avec de très gros yeux qui occupent presque tout le côté de la tête, à antennes à quatre articles. Le rostre est plutôt court, dépassant à peine la tête (Leptopodidae) ou atteignant les hanches postérieures (Omaniidae). L'abdomen comporte des latérotergites (segments abdominaux dorsaux) externes, les latérotergites internes étant très réduits ou absents. Les stigmates abdominaux sont dorsaux (sur les latérotergites externes), à l'exception des espèces du genre Leotichius pour lesquelles ils sont ventraux. Chez les individus macroptères (à ailes recouvrant tout l'abdomen), la membrane (partie apicale de l'aile antérieure, non coriacée) comporte trois cellules[2].
Répartition
Ce groupe a sa plus grande diversité dans les zones tropicales, principalement des écozones indomalaise et afrotropicales[2].
En Europe, seules 4 espèces sont présentes, Erianotus lanosus (Dufour, 1834), Leptopus hispanus Rambur, 1840, Leptopus marmoratus (Goeze, 1778) et Patapius spinosus (Rossi, 1790), appartenant toutes aux Leptopodidae. Les quatre se rencontrent en France[3] et en Afrique du Nord, et en Belgique et en Suisse seulement Leptopus marmoratus[4].
Biologie
Comme tous les Leptopodomorpha, ce sont des petites punaises prédatrices, qui vivent le plus souvent dans des zones marécageuses, voire intertidale (Omaniidae), mais parfois aussi sans lien avec l'eau[2].
Systématique
Les Leptopodoidea constituent l'une des deux super-familles des Leptopodomorpha, la seconde étant celle des Saldoidea, dont elle est le groupe frère. Elle comprend deux familles et un peu moins d'une cinquantaine d'espèces décrites à ce jour[2].
Liste des familles
Selon BioLib (30 juillet 2023)[1] et Species File (30 juillet 2023)[5] :
- famille des Leptopodidae Brullé, 1836
- famille des Omaniidae Cobben, 1970
Fossiles
BioLib (30 juillet 2023)[1] mentionne également une famille fossile comme membre des Leptopodoidea, les Palaeoleptidae, établie par George Poinar Jr en 2009 pour un fossile trouvé dans de l'ambre birman[6]. Toutefois, le site Paleobiology Database la considère comme un synonyme des Leptosaldinae, une sous-famille des Leptopodidae[7], suivant les travaux de Popov & Heiss (2014)[8] et de Sun & Chen (2020)[9].
Liens externes
- (en) BioLib : Leptopodoidea Brullé, 1836 (consulté le )
- (en) Paraneoptera Species Files : Leptopodoidea (consulté le )
Notes et références
- 1 2 3 BioLib, consulté le 30 juillet 2023.
- 1 2 3 4 (en) Randall T. Schuh et Christiane Weirauch, True bugs of the world (Hemiptera, Heteroptera) : classification and natural history., Manchester, Siri Scientific Press, , 800 p. (ISBN 978-0-9957496-9-6 et 0-9957496-9-8, OCLC 1125224106, lire en ligne), p. 313-319
- ↑ Zicrona, « Liste des Hétéroptères de France : Leptopodomorpha », sur Zicrona, (consulté le )
- ↑ « Catalogue of Palaearctic Heteroptera: Leptopus marmoratus (Goeze, 1778) », sur catpalhet.linnaeus.naturalis.nl (consulté le )
- ↑ Species File, consulté le 30 juillet 2023.
- ↑ (en) George Poinar et Ron Buckley, « Palaeoleptus burmanicus n. gen., n. sp., an Early Cretaceous shore bug (Hemiptera: Palaeoleptidae n. fam.) in Burmese amber », Cretaceous Research, vol. 30, no 4, , p. 1000–1004 (DOI 10.1016/j.cretres.2009.03.003, lire en ligne, consulté le )
- ↑ (en) « Leptosaldinae », sur paleobiodb.org (consulté le )
- ↑ Yuri A. Popov et Ernst Heiss, « Grimaldinia pronotalis n.gen., n.sp. from Mid-Cretaceous Burmese Amber(Hemiptera: Heteroptera, Leptopodidae, Leptosaldinae) », Zootaxa, vol. 3878, no 5, , p. 444 (ISSN 1175-5334 et 1175-5326, DOI 10.11646/zootaxa.3878.5.2, lire en ligne, consulté le )
- ↑ (en) Jie Sun et Jun Chen, « New material of shore bug subfamily Leptosaldinae in mid-Cretaceous Kachin amber from northern Myanmar (Heteroptera, Leptopodomorpha) », Cretaceous Research, vol. 106, , p. 104205 (DOI 10.1016/j.cretres.2019.104205, lire en ligne, consulté le )
- Portail de l’entomologie