Limothrips
Limothrips
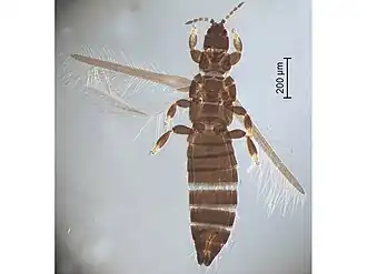
Limothrips cerealium
Limothrips est un genre d'insectes thysanoptères de la famille des Thripidae qui regroupe des espèces présentes dans les régions tempérées du monde. Ces insectes sont des parasites des plantes de la famille des Poaceae (graminées).
Liste d'espèces
Selon Catalogue of Life (10 septembre 2021)[2] :
- Limothrips angulicornis Jablonowski, 1894
- Limothrips cerealium (Haliday, 1836)
- Limothrips clarus Solowiow, 1924
- Limothrips consimilis Priesner, 1926
- Limothrips denticornis (Haliday, 1836)
- Limothrips schmutzi Priesner, 1919
- Limothrips serotina Targioni-Tozzetti, 1891
- Limothrips transcaucasicus Savenko, 1944
- Limothrips angulicornis Jablonowski, 1894
- Limothrips cerealium (Haliday, 1836)
- Limothrips consimilis Priesner, 1926
- Limothrips denticornis (Haliday, 1836)
- Limothrips angulicornis Jablonowski, 1894
- Limothrips cerealium (Haliday, 1836)
- Limothrips consimilis Priesner, 1926
- Limothrips denticornis (Haliday, 1836)
- Limothrips schmutzi (Priesner, 1919)
Notes et références
- 1 2 Integrated Taxonomic Information System (ITIS), www.itis.gov, CC0 https://doi.org/10.5066/F7KH0KBK, consulté le 23 mai 2014.
- ↑ Catalogue of Life Checklist, consulté le 10 septembre 2021.
- ↑ GBIF Secretariat. GBIF Backbone Taxonomy. Checklist dataset https://doi.org/10.15468/39omei accessed via GBIF.org, consulté le 23 mai 2014.
- ↑ NCBI, consulté le 23 mai 2014.
Liens externes
- (en) Animal Diversity Web : Limothrips (consulté le )
- (en) Catalogue of Life : Limothrips Haliday, 1836 (consulté le )
- (en) Fauna Europaea : Limothrips Haliday, 1836 (consulté le )
- (fr + en) ITIS : Limothrips Haliday, 1836 (consulté le )
- (en) NCBI : Limothrips (taxons inclus) (consulté le )
- Portail de l’agriculture et l’agronomie
- Portail de l’entomologie