Mont sous-marin Axial
| Mont sous-marin Axial | |||
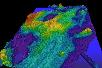
Représentation de la bathymétrie du mont sous-marin Axial (sommet en jaune au centre) et de ses environs (échelle verticale exagérée). | |||
| Géographie | |||
|---|---|---|---|
| Altitude | −1 410 m[1] | ||
| Massif | Ride Juan de Fuca | ||
| Coordonnées | 45° 57′ nord, 130° 00′ ouest[1] | ||
| Administration | |||
| Pays | Aucun (eaux internationales) | ||
| Géologie | |||
| Type | Volcan de rift | ||
| Activité | Actif | ||
| Dernière éruption | Du 23 avril au 24 mai 2015 | ||
| Code GVP | 331021 | ||
| Géolocalisation sur la carte : océan Pacifique
Géolocalisation sur la carte : Amérique du Nord
| |||
Le mont sous-marin Axial, en anglais Axial Seamount, est un volcan sous-marin de l'océan Pacifique situé sur la ride Juan de Fuca, à environ 480 kilomètres à l'ouest des côtes de l'Oregon.
Géographie
Le mont sous-marin Axial est situé dans le Nord-Est de l'océan Pacifique, à l'ouest des côtes américaines, au large de l'État de l'Oregon, à 480 kilomètres de la localité de Cannon Beach[1].
Il s'élève à environ 700 mètres au-dessus des fonds marins et culmine à 1 410 mètres sous le niveau de la mer[1]. Il est couronné par une caldeira rectangulaire de trois kilomètres de largeur, huit kilomètres de longueur et environ 150 mètres de profondeur encadrée par deux rifts[1]. Autour des cheminées hydrothermales s'est développé un écosystème abyssal[1].
Il constitue l'un des volcans sous-marins les plus importants de la ride Juan de Fuca qui marque la frontière entre la plaque Juan de Fuca au sud-est et la plaque pacifique au nord-ouest[1].
Histoire
Des cheminées hydrothermales situées au nord de la caldeira sont découvertes en 1983, ce qui déclenche des campagnes de cartographie et d'exploration de ce secteur de l'océan Pacifique au milieu des années 1980[1]. Une coulée de lave de neuf kilomètres de longueur est ainsi découverte dans le sud de la caldeira[1].
L'éruption du au [2] a émis une coulée de lave qui a endommagé un sismographe installé en 1997[1].

Zones d’effondrement dues à la dernière éruption.
Des piliers de lave à l'intérieur d'une fosse d'effondrement.
Références
Liens externes
- Ressources relatives à la géographie :
- Portail des abysses
- Portail du volcanisme


