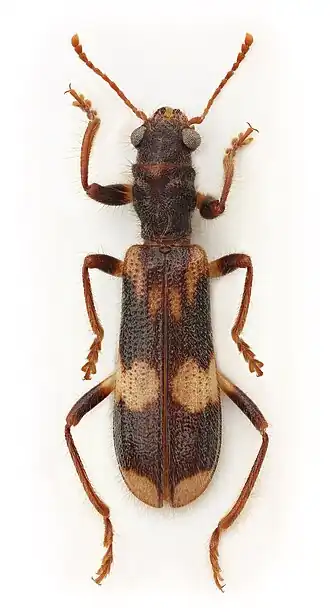
Opilo

Opilo est un genre d'insectes de l'ordre des coléoptères, de la famille des Cleridae.

Les larves vivent dans le bois et se nourrissent d'insectes xylophages.

Synonymie

  • Eupocus Illiger, 1807
  • Notoxus Fabricius, 1775
  • Opilus Latreille, 1806

Liste d'espèces

Selon BioLib (6 avril 2018)[1] :

  • Opilo abeillei Korge, 1960
  • Opilo barbarus (Abeille de Perrin, 1893)
  • Opilo cilicicus Hintz, 1902
  • Opilo difficilus Schenkling, 1912
  • Opilo domesticus (Sturm, 1837)
  • Opilo formosanus Schenkling, 1912
  • Opilo mityatakei Yoshimichi, 2004
  • Opilo mollis (Linnaeus, 1758)
  • Opilo orocastaneus Zappi & Pantaleoni, 2010
  • Opilo pallidus (Olivier, 1795)
  • Opilo sordidus Westwood, 1852
  • Opilo taeniatus (Klug, 1842)
  • Opilo tilloides (Chevrolat, 1876)
  • Opilo triangulus Schenkling, 1902

Selon ITIS (6 avril 2018)[2] :

Références

Liens externes

  • icône décorative Portail de l’entomologie