Oreodera
Oreodera
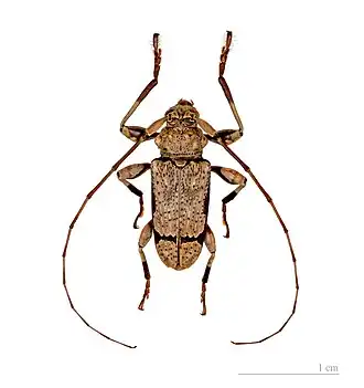
Oreodera est un genre d'insectes coléoptères de la famille des Cerambycidae, sous-famille des Lamiinae et de la tribu des Acanthoderini.
Description
Ces insectes sont caractérisés par un corselet muni en dessus de trois tubercules triangulaires et d'un quatrième anguleux sur le bord latéral. Leurs antennes surtout chez les mâles sont très longues et souvent pubescentes.
Systématique
Le genre Oreodera a été décrit par l'entomologiste français Jean Guillaume Audinet-Serville en 1835[1].
Taxinomie
- Liste d'espèces[2]
- Oreodera achatina (Erichson, 1847)
- Oreodera adornata (Martins & Galileo, 2005)
- Oreodera advena (Martins & Galileo, 2005)
- Oreodera aerumnosa (Erichson, 1847)
- Oreodera aestiva (Neouze & Tavakilian, 2010)
- Oreodera affinis (Gahan, 1892)
- Oreodera aglaia (Monné & Fragoso, 1988)
- Oreodera albata (Villiers, 1971)
- Oreodera albicans (Monné & Fragoso, 1988)
- Oreodera albilatera (Martins & Monné, 1993)
- Oreodera aliciae (McCarty, 2005)
- Oreodera amabilis (Monné & Fragoso, 1988)
- Oreodera basicretata (Neouze & Tavakilian, 2010)
- Oreodera basipenicillata (Tippmann, 1960)
- Oreodera basiradiata (Tippmann, 1960)
- Oreodera beneluzi (Neouze & Tavakilian, 2010)
- Oreodera bituberculata (Bates, 1861)
- Oreodera boliviana (Tippmann, 1960)
- Oreodera boucheri (Neouze & Tavakilian, 2010)
- Oreodera brailovskyi (Chemsak & Noguera, 1993)
- Oreodera c-album (Bates, 1872)
- Oreodera candida (Marinoni & Martins, 1978)
- Oreodera canotogata (Bates, 1872)
- Oreodera charisoma (Lane, 1955)
- Oreodera chemsaki (McCarty, 2001)
- Oreodera cinerea (Serville, 1835)
- Oreodera cocoensis (Linsley & Chemsak, 1966)
- Oreodera copei (McCarty, 2001)
- Oreodera corticina (Thomson, 1865)
- Oreodera costaricensis (Thomson, 1865)
- Oreodera cretata (Bates, 1861)
- Oreodera cretifera (Pascoe, 1859)
- Oreodera crinita (Monné & Fragoso, 1988)
- Oreodera curiosa (Galileo & Martins, 2007)
- Oreodera curvata (Martins & Monné, 1993)
- Oreodera durantoni (Neouze & Tavakilian, 2010)
- Oreodera exigua (Monné & Fragoso, 1988)
- Oreodera fasciculosa (Thomson, 1865)
- Oreodera ferruginea (Fuchs, 1964)
- Oreodera feuilleti (Neouze & Tavakilian, 2010)
- Oreodera flavopunctata (Fuchs, 1964)
- Oreodera fluctuosa (Bates, 1861)
- Oreodera forsteri (Tippmann, 1960)
- Oreodera glauca (Linnaeus, 1758)
- Oreodera goudoti (White, 1855)
- Oreodera granulifera (Bates, 1872)
- Oreodera granulipennis (Zajciw, 1963)
- Oreodera graphiptera (Bates, 1885)
- Oreodera griseozonata (Bates, 1861)
- Oreodera hassenteufeli (Fuchs, 1959)
- Oreodera hoffmanni (Thomson, 1860)
- Oreodera hovorei (Neouze & Tavakilian, 2010)
- Oreodera howdeni (Monné & Fragoso, 1988)
- Oreodera inscripta (Bates, 1872)
- Oreodera jacquieri (Thomson, 1865)
- Oreodera kawensis (Neouze & Tavakilian, 2010)
- Oreodera lanei (Monné & Fragoso, 1988)
- Oreodera larrei (Neouze & Tavakilian, 2010)
- Oreodera lateralis (Olivier, 1795)
- Oreodera leucostigma (Monné & Fragoso, 1988)
- Oreodera lezamai (Hovore, 1989)
- Oreodera luteogrisea (Neouze & Tavakilian, 2010)
- Oreodera macropoda (Marinoni & Martins, 1978)
- Oreodera mageia (Martins, Galileo & Tavakilian, 2008)
- Oreodera magnifica (Martins & Monné, 1993)
- Oreodera magnoi (Monné & Fragoso, 1988)
- Oreodera marinonii (Monné & Fragoso, 1988)
- Oreodera melzeri (Monné & Fragoso, 1988)
- Oreodera mimetica (Lane, 1970)
- Oreodera minima (Galileo & Martins, 1999)
- Oreodera mocoiatira (Galileo & Martins, 1998)
- Oreodera modesta (Monné & Fragoso, 1988)
- Oreodera morvanae (Neouze & Tavakilian, 2010)
- Oreodera neglecta (Melzer, 1932)
- Oreodera nivea (Martins & Galileo, 2005)
- Oreodera noguerai (McCarty, 2001)
- Oreodera obsoleta (Bates, 1874)
- Oreodera occulta (Monné & Fragoso, 1988)
- Oreodera ohausi (Melzer, 1930)
- Oreodera olivaceotincta (Tippmann, 1953)
- Oreodera olivosimplex (Neouze & Tavakilian, 2010)
- Oreodera omissa (Melzer, 1932)
- Oreodera paulista (Tippmann, 1953)
- Oreodera podagrica (Neouze & Tavakilian, 2010)
- Oreodera purpurascens (Bates, 1880)
- Oreodera pustulosa (Monné & Fragoso, 1988 )
- Oreodera quinquetuberculata (Drapiez, 1820)
- Oreodera rhytisma (Monné & Fragoso, 1988)
- Oreodera roppai (Monné & Fragoso, 1988)
- Oreodera rufofasciata (Bates, 1861)
- Oreodera seabrai (Monné & Fragoso, 1988)
- Oreodera semialba (Bates, 1874)
- Oreodera semiporosa (Tippmann, 1960)
- Oreodera sensibilis (Galileo & Martins, 2007)
- Oreodera seraisorum (Neouze & Tavakilian, 2010)
- Oreodera sericata (Bates, 1861)
- Oreodera sexplagiata (Melzer, 1931)
- Oreodera simplex (Bates, 1861)
- Oreodera sororcula (Martins & Monné, 1993)
- Oreodera stictica (Monné & Fragoso, 1988)
- Oreodera tenebrosa (Thomson, 1864)
- Oreodera tijuca (Marinoni & Martins, 1978)
- Oreodera triangularis (Galileo & Martins, 2007)
- Oreodera trinitensis (Neouze & Tavakilian, 2010)
- Oreodera tuberculata (Thomson, 1864)
- Oreodera tuberculifera (Galileo & Martins, 2007)
- Oreodera tuberosa (Monné & Fragoso, 1988)
- Oreodera turnbowi (McCarty, 2001)
- Oreodera undulata (Bates, 1861)
- Oreodera veronicae (Neouze & Tavakilian, 2010)
- Oreodera verrucosa (Bates, 1872)
- Oreodera vulgata (Monné & Fragoso, 1988)
- Oreodera wappesi (McCarty, 2001)
- Oreodera zikani (Melzer, 1930)
Notes et références
Voir aussi
Articles liés
Liens externes
- (fr + en) ITIS : Oreodera Audinet-Serville, 1835
- (fr + en) EOL : Oreodera
- Portail de l’entomologie
- Portail de la Guyane