Ouragan Hugo
|
Ouragan Hugo
| ||||||||
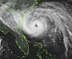
Ouragan Hugo le 21 septembre près de la Floride. | ||||||||
| Apparition | 9 septembre 1989 | |||||||
|---|---|---|---|---|---|---|---|---|
| Dissipation | 25 septembre 1989 | |||||||
| Catégorie maximale | Ouragan catégorie 5 | |||||||
| Pression minimale | 918 hPa | |||||||
| Vent maximal (soutenu sur 1 min) |
260 km/h | |||||||
| Dommages confirmés | 16 à 18 milliards USD (2 005) | |||||||
| Morts confirmés | 60 à 100 morts | |||||||
| Blessés confirmés | n/d | |||||||
| Zones touchées | Guadeloupe, Montserrat, Dominique (pays), Îles Vierges américaines, Porto Rico, États-Unis d'Amérique (Caroline du Sud, Caroline du Nord et côte Est), Est du Canada |
|||||||
Parcours de l'ouragan Hugo
| ||||||||
| Saison cyclonique 1989 dans l'océan Atlantique nord | ||||||||
L'ouragan Hugo de 1989 est l'un des plus violents cyclones tropicaux qu'aient connus les Antilles depuis que des observations scientifiques sont réalisées. L'ouragan, de catégorie 5 sur l’échelle de Saffir-Simpson, a tué plus de 100 personnes et fait 56 000 sans-abris dans les îles de Guadeloupe, La Désirade, Marie-Galante, Montserrat, Porto Rico, Sainte-Croix (Îles Vierges américaines) et dans les États américains de la Caroline du Sud et la Caroline du Nord.
Issu d'une onde tropicale au large de la côte africaine le 9 septembre, la tempête se dirigea d'abord vers l'ouest et devint une tempête tropicale le 11, puis un ouragan le 13. Hugo atteignit son maximum d'intensité dans les Antilles et toucha terre en Caroline du Sud avec encore la force d'un ouragan de catégorie 4. Les dommages qu'il a causés ont été évalués à 10 milliards $US en 1989 (soit 16,3 milliards $US en 2006), soit le plus dévastateur jusqu'au passage de l'ouragan Andrew en 1992.
À la suite des dégâts et des morts causés, l'Organisation météorologique mondiale a retiré le nom Hugo des listes futures de noms pour les ouragans du bassin Atlantique.
Évolution météorologique

Le 9 septembre, un amas d'orages au large de la côte de l'Afrique tend à s'organiser et se dirige vers l'ouest. Ce système devient une dépression tropicale le 10 au sud-est des îles du Cap-Vert et une tempête tropicale le 11 septembre en plein océan Atlantique[1]. Le 13 septembre à 1 h TU, la tempête se renforce et devient officiellement un ouragan baptisé Hugo alors qu'il se trouve à 2 000 km à l'est des îles Sous-le-Vent[1].
L'ouragan contourne une dépression se situant près de Porto Rico et prend une trajectoire ouest-nord-ouest. Le 17 septembre à 5 h TU (1 h locale), l'œil de l'ouragan Hugo passe en plein sur la Guadeloupe[1]. La pression atmosphérique relevée au niveau de l'œil du cyclone est de 941 hPa et le vent moyen est de 230 km/h[2],[3]. Les rafales de vent atteignent les 280 km/h et plus de 300 km/h est relevé au Raizet (aéroport), Hugo a ainsi atteint la catégorie 4 et tourne vers le nord-ouest en décélérant[3].
Hugo passe ensuite sur l'île Sainte-Croix et Porto Rico le où l'on rapporte des rafales de vent de 200 km/h. Le 19 septembre, l'ouragan se trouve au nord de Porto Rico et accélère quand les conditions de cisaillement des vents en altitude deviennent plus favorables[1]. Le 21 septembre, Hugo passe à quelques centaines de kilomètres à l'est de la Floride et tourne vers le nord à l'approche d'une importante dépression extratropicale. Il touche terre le à 4 h TU (minuit local), en Caroline du Sud près Charleston[1]. Des vents de 217 km/h ont été signalés à ce dernier endroit, ainsi qu'une onde de tempête de 1,5 mètre qui a inondé une bonne partie de la ville. La plus forte onde de tempête, 5,1 mètres, a été signalée dans la ville de McClellanville (Caroline du Sud)[4].
Hugo perd ensuite rapidement de sa force en passant sur terre. À 12 h TU le , il est déclassé au rang de tempête tropicale à l'ouest de Charlotte[1],[5]. Le système se passe ensuite dans l'extrême nord-ouest de la Virginie, en Virginie-Occidentale, en Ohio. Il devient une dépression extratropicale près d'Erie vers 0 h TU le . Il poursuit ensuite son chemin vers le nord-est, traversant l'est du Canada et se dissiper dans l'Atlantique le 25.
Préparatifs
Vu l'intensité de cet ouragan, le gouverneur Carroll Campbell de la Caroline du Sud ordonna l'évacuation obligatoire de la côte épargnant ainsi de nombreuses vies. Savannah fut également évacué avant l'arrivée d'Hugo mais l'ouragan passa trop loin et n'y donna que des averses légères.
Impact
| Région | Morts directes |
|---|---|
| États-Unis | 21 à 35 |
| Porto Rico | 3 à 6 |
| Guadeloupe | 11 |
| Montserrat | 10 |
| Îles Vierges américaines | 2 |
| Antigua-et-Barbuda | 1 |
| Saint-Christophe-et-Niévès | 1 |
| Antilles néerlandaises | 11 |
| Total | 60 à 77 |
L'ouragan Hugo a causé pour 7 milliards $US de dommages aux États-Unis, 1 milliard à Porto Rico et 2 milliards dans différentes autres îles des Antilles (dollars de 1989)[9].
Il fut le plus coûteux des systèmes tropicaux à frapper les États-Unis jusqu'au passage de l'ouragan Andrew en 1992. Il est toujours en 2008 au sixième rang. Les sources divergent quant au nombre de morts directs laissés dans ce pays par cet ouragan, l'American Meteorological Society rapporte 49 directes, le National Hurricane Center 56 et d'autres sources gouvernementales seulement 32[10].
Antilles
Guadeloupe
Hugo atteignit la Guadeloupe avec la force d'un ouragan de catégorie 4 avec des vents soutenus de 220 km/h[11] et les rafales de vent ont dépassé les 300 km/h, ravageant la majeure partie de l'archipel, détruisant plus de 60 % de la récolte de canne à sucre, 100 % de la récolte de bananes causant pour 466 millions de francs (1989) de dommages et 152 millions de dommages à l'industrie hôtelière[7],[12]. Le secteur de la pêche a été sinistré à 100 %, les cultures vivrières et maraîchères à 85 %[12]. Le coût total des réparations s'élèvera à plus de 4 milliards de francs (1989)[12].
Il laisse aussi 25 000 personnes sans abri et 35 000 sinistrés[12]. Hugo fait 107 blessés et cause directement entre sept et onze décès selon différentes sources, dont un rapport de Météo-France[6],[7],[12]. Neuf autres personnes dont 7 sauveteurs ont péri, le , dans l'écrasement d'un hélicoptère de secours de type Puma (deux jours après le passage du cyclone) au large de La Désirade[13],[14].
Montserrat
Montserrat fut durement touchée alors que près de 90 % des infrastructures et édifices furent endommagés ou détruits sur ce territoire britannique outre-mer, incluant l'hôpital et la plupart des 12 000 résidences. Les industries touristique et agricole ont grandement souffert et on estime entre 100 et 300 millions $US les pertes, forçant l'île à demander l'aide extérieure pour survivre[15],[16]. La population de chauves-souris perdit jusqu'à 90 % de ses effectifs et l'espèce Chiroderma improvisum, endémique à l'île, est probablement disparue[17].
Porto Rico

(En pouces, 1 pouce = 25,4 mm)
Les dommages causés à Porto Rico ont été plus importants dans la partie Est. Les récoltes furent détruites, en particulier celles de bananes et de café. Les pluies torrentielles ont causé des inondations autour de la capitale, San Juan et plusieurs routes furent emportées[16]. Les précipitations maximales de 447 mm ont été mesurées à Rio Blanco[18].
On rapporte douze décès directement causés par Hugo, dont six dans la ville de Guayamam dans le sud, où certains résidents furent électrocutés par des fils tombés[6]. Près de 28 000 personnes furent laissés sans abri[16].
Îles Vierges américaines
Après le passage d'Hugo, 90 % des infrastructures ont été touchées à l'île Sainte-Croix, une dépendance des États-Unis. L'électricité et le téléphone ont été coupés et la population se livra à de nombreux pillages. Le président George H. W. Bush, à la suite de la demande du gouverneur du territoire, dut envoyer des troupes pour rétablir l'ordre dans l'opération Hawkeye. Ce fut la première fois que le nouveau National Disaster Medical System (NDMS) eut à intervenir en envoyant l'antenne médicale stationnée au Nouveau-Mexique[9].
États-Unis
Caroline du Sud



(1 pouce = 25,4 mm)
Tout le long de la côte de la Caroline du Sud, l'onde de tempête a emporté les infrastructures et les maisons; les bateaux se sont retrouvés pêle-mêle. Le centre-ville de Charleston a subi des dommages très importants mais c'est en banlieue nord, à Mount Pleasant, Sullivan's Island et Isle of Palms, que les dommages ont été les plus grands. Les deux îles mentionnées ont été coupées du continent lorsque les ponts qui les y relient ont été emportés.
Les vents les plus intenses et l'onde de tempête la plus haute ont été signalés entre les petites villes de Awendaw et McClellanville, au nord de Charleston. À McClellanville, une petite communauté de pêcheurs, la montée des eaux a forcé les gens qui s'étaient réfugiés dans une école à monter en vitesse au grenier dans le noir total pour survivre. L'onde de tempête la plus importante, 5,1 mètres, s'est produite entre Cape Romain et Bulls Bay. Les arbres matures de la Francis Marion National Forest ont été déracinés dont plusieurs sections ancestrales de pin des marais, une essence très importante pour de nombreuses espèces menacées.
La région de Myrtle Beach, Surfside Beach, Garden City et Murrells Inlet ont subi l'action combinée de l'onde de tempête et de la marée haute pour voir le niveau de la mer être de plus de 4 mètres au-dessus de la normale. Les maisons sur la plage ont été déplacées au milieu du boulevard Ocean alors que les maisons plus à l'intérieur des terres furent épargnées. Les poteaux téléphoniques furent retrouvés avec un angle de 45 degrés sur le boulevard et il était couvert de plus d'un mètre de sable.
Selon le gouverneur de l'État, Carroll Campbell, 3 000 tornades ont été répertoriées avec le passage d'Hugo, ce qui expliquerait les forts dommages à l'extérieur de la zone de passage de l'œil du cyclone. Cependant, plusieurs de celles-ci sont probablement dues à des rafales descendantes ou à une canalisation des vents du vortex de l'ouragan.
Toujours selon le gouverneur, assez d'arbres ont été perdus pour construire une maison à chaque famille de Virginie-Occidentale. Pour essayer de minimiser ces pertes, un programme de ramassage a permis de transformer en pâte à papier ceux qui étaient irrécupérables autrement, et en planches ou contreplaqués pour les autres, avant qu'ils ne pourrissent sur place.
Finalement, les dégâts ne se sont pas limités à la côte. Les forêts, les récoltes de coton et de nombreuses maisons ont été détruites à l'intérieur des terres par les vents et la pluie. À cause du mouvement rapide d'Hugo une fois sur terre, les précipitations ont été moindres que ce à quoi l'on se serait attendu. Le maximum de précipitations a été enregistré à Edisto Island avec 260 mm[19].
Caroline du Nord
La côte de Caroline du Nord a également souffert d'importants dommages sur ses plages faisant face au sud, incluant le comté de Brunswick et les Outer Banks. Hugo a causé des dommages dans tout l'ouest de l'État également. Lorsqu'il a atteint Charlotte, 320 km à l'intérieur des terres, il était toujours de catégorie 1. Normalement un endroit où les gens de la côte cherchent refuge, Charlotte a subi de nombreux dommages. Les vents d'Hugo étaient en effet assez puissants pour renverser arbres et des poteaux électriques, endommager les maisons et des tornades ont été rapportées également. Plusieurs personnes sont restées sans électricité plusieurs jours et des écoles ont été fermées durant deux semaines.
Neuf comtés de Caroline du Nord ont été déclarés zone sinistrée, permettant une aide directe du gouvernement fédéral. Les dommages se montèrent dans l'État à 1 milliard $US (1989) [20].
Midwest
La dernière victime d'Hugo a été signalée à East Aurora, près de Buffalo quand un arbre est tombé sur une voiture.
Épilogue

La Croix-Rouge, l'Armée du salut et différentes églises ont fourni une bonne partie des secours aux victimes. Le , les troupes envoyées pour calmer les troubles à l'Île Sainte-Croix sont arrivées et la police militaire a imposé un couvre-feu du coucher au lever du soleil durant deux mois. Les avions de ravitaillement apportèrent nourriture, médicaments, hôpitaux mobiles et autres fournitures. Ils offrirent l'évacuation vers le continent à tous ceux qui le voulaient.
En Caroline du sud, État le plus touché aux États-Unis, l'Agence fédérale des situations d'urgence (FEMA) a été lente à réagir. Le sénateur Fritz Hollings les traita de « Bande d'ânes bureaucratiques » (« a bunch of bureaucratic jackasses ») durant un discours au Sénat. Une enquête sur les événements recommanda des changements aux procédures opérationnelles de FEMA qui se comporta ainsi de meilleure façon lors de l'ouragan Andrew en 1992.
Notoriété et retrait
Hugo est un des sept ouragans capverdiens à frapper les États-Unis continentaux et ayant reçu un nom avant de passer à l’ouest de 35° Ouest. Les autres sont : Donna en 1960, Gloria en 1985, Georges en 1998, Isabel en 2003, Ivan en 2004 et Irma en 2017.
À cause du nombre de morts et des importants dégâts causés par cet ouragan, le nom Hugo a été retiré des listes futures par le comité des cyclones tropicaux de l'Organisation météorologique mondiale. Il a été remplacé par Humberto qui a lui-même été utilisé en 1995, 2001 et 2007.
Voir aussi
Articles connexes
Liens externes
- (en) National Hurricane Center, « Rapport préliminaire complet sur l'ouragan Hugo (documents numérisés en GIF)) », NOAA (consulté le )
- (en) National Hurricane Center, « Hurricane Hugo 10 - 22 September, 1989 (Trajectoire, images radar et satellitaires) », NOAA, (consulté le )
- (en) National Hydrological Prediction Center, « Hurricane Hugo - September 17-24, 1989 (Suivi de Hugo en Amérique) », NOAA, (consulté le )
- (en) « Trajectoire de l'ouragan Hugo », Stormadvisory.com (consulté le )
- (fr) « Onde de tempête au passage du cyclone Hugo sur la Guadeloupe » (consulté le )
Médiagraphie
Bibliographie
- (en) Katherine J Trimnal (History,Pictorial works), Photographer's notebook : Hurricane Hugo, September 21-22,1989, Columbia, S.C., (OCLC 25410664)
- Maryse Condé, Hugo le terrible, Sépia, (OCLC 462609289)
- Gérard César et Angela Davies, La veuve d'Hugo : la nuit où Man'Clémence survécut à Cyclone Hugo, coll. « Patrimoine créole (Paris) », (OCLC 863111020)
- Francoise Pagney (Article from Climat et Santé, n⁰ 3), Le vécu au passage, et apres le passage d'un grand cyclone Caribe : l'impact de l'ouragan Hugo sur la population Guadeloupéenne, Universite de Bourgogne, Centre National de la Recherche Scientifique, (OCLC 28661785)
- Rapport sur les effets du cyclone Hugo sur les écosystèmes côtiers de Guadeloupe (Antilles françaises) (Publication gouvernemental), IFREMER, ORSTOM, Université des Antilles et de la Guyane, (OCLC 463752186)
- (en) Katherine J Trimnal (produced by the News and Courier--The Evening Post.), And Hugo was his name : Hurricane Hugo, a diary of destruction, September 21, 1989, Sun City West, AZ, (OCLC 25410664)
- Cyclone Hugo : la Guadeloupe meurtrie (N spécial), France-Antilles, (OCLC 495534818)
Vidéographie
- « Mitterrand Guadeloupe (François Mitterrand constate l'ampleur des dégâts) » [vidéo], sur ina.fr, Journal de 20 heures (France 2),
- « Guadeloupe : après le cyclone Hugo » [vidéo], sur ina.fr, Journal de 20 heures (France 2),
- (en) Hurricane Hugo, September 22, 1989 : destruction footage, 2011, DVD, 67 min, (OCLC 832441400)
Musique
- Hugo, la chanson du cyclone, de Thomas Fersen, 1995[21]
- Sois belle, d'Expérience 7, 1989 (hommage national à la Guadeloupe après le passage du cyclone Hugo)
Notes et références
- 1 2 3 4 5 6 (en) NHC, « Hurricane Hugo Preliminary Report », NOAA, (consulté le ), p. 1
- ↑ (en) Lawrence Miles, « Hurricane Hugo Preliminary Report », National Hurricane Center, (consulté le )
- 1 2 (fr) Frédéric Leone et Françoise Pagney, Les Antilles, terres à risques, Paris, KARTHALA Editions, , 19-39 p. (ISBN 2-86537-972-8 et 9782865379729, lire en ligne)
- ↑ (fr) Centre canadien de prévision d'ouragan, « L'ouragan Hugo », Service météorologique du Canada, (consulté le )
- ↑ (en) NHC, « Hurricane Hugo Preliminary Report », NOAA, (consulté le ), p. 2
- 1 2 3 (en) Michael A. Grammatico, « Hurricane Hugo - September 22, 1989. » [archive du ], Géocities.com, (consulté le )
- 1 2 3 Françoise Pagney, « Genèse et dynamique de l'ouragan Hugo sur la Guadeloupe », Annales de géographie, no 558, , p. 152-165 (lire en ligne).
- ↑ « Preliminary Report : Hurricane Hugo 10-22 September 1989 », National Hurricane Center, (consulté le ).
- 1 2 (en) National Hurricane Center, « Costliest U.S. Hurricanes 1900-2004 (unadjusted) », NOAA, (consulté le )
- ↑ (en) National Hurricane Center, « The Deadliest Atlantic Tropical Cyclones, 1492-1996 », NOAA, (consulté le )
- ↑ (en) « Preliminary Report : Hurricane Hugo (10-22 Septembre 1989) », National Hurricane Center, (consulté le ), p. 7.
- 1 2 3 4 5 M. Daniel Marbouty (Météo-France), « L'aléa météorologique, section 4. La Prévention », Rapports de l’Office parlementaire d’évaluation des choix scientifiques et technologiques, Assemblée nationale (consulté le ).
- ↑ « Le cyclone Hugo », sur guadeloupe-fwi, (consulté le ).
- ↑ « SA 330 Puma Armée de l'air EVASAN », sur www.aerosteles.net, consulté le 29 août 2017.
- ↑ (en) « United Kingdom - Montserrat », Commonwealth Secretariat - Montserrat (consulté le )
- 1 2 3 (en)Michael York, « WeatherPost - "Deadly Hugo Slams Puerto Rico, Virgin Islands" », Washington Post, , A01 (lire en ligne)
- ↑ (en) Scott C. Pedersen, « Blown in, Blown off, and Blown up: the Bats of Montserrat, BWI. », Sustainable Ecosystems Institute, (consulté le )
- 1 2 (en) Hydrological Prediction Center, « Hurricane Hugo - September 17-20, 1989 », NOAA, (consulté le )
- 1 2 (en) Hydrological Prediction Center, « Hurricane Hugo 21-24 September 1989 », NOAA (consulté le )
- ↑ (en) Coastal Services Center, « NHC North Carolina hazards: Hugo », NOAA (consulté le )
- ↑ « Ces chansons qui font l'actu après le cyclone », sur France TV Info.
Source
- (en) Cet article est partiellement ou en totalité issu de l’article de Wikipédia en anglais intitulé « Hurricane Hugo » (voir la liste des auteurs).
- Portail de la météorologie
- Portail des années 1980
- Portail des risques majeurs
- Portail des Antilles
- Portail des États-Unis

