Échelle de Saffir-Simpson
L'échelle de Saffir-Simpson est l'échelle de classification de l'intensité des cyclones tropicaux, nommés « ouragans », se formant dans l'hémisphère ouest, qui inclut les bassins cycloniques de l'océan Atlantique et l'océan Pacifique nord à l'est de la ligne de changement de date. Elle est graduée en cinq niveaux d'intensité, correspondant à des intervalles de vitesses de vents normalisés. Pour classer un cyclone sur cette échelle, la vitesse des vents soutenus est enregistrée pendant une minute à une hauteur de 10 mètres, la moyenne ainsi obtenue est comparée aux intervalles (Voir les catégories d'intensité). Pour décrire un ouragan passé, la graduation la plus élevée atteinte est utilisée (par exemple, Katrina était de catégorie 5).
D'autres classifications dans les autres bassins cycloniques sont utilisées. Ces échelles, bien qu'utilisant des niveaux de vents assez semblables, se servent en général de la moyenne sur dix minutes du vent et des noms de catégories qui varient selon le bassin océanique concerné (voir Nomenclature des cyclones tropicaux). Ainsi, on dit qu'un « typhon » du Pacifique ou un « cyclone tropical » de l’océan Indien a atteint une catégorie équivalente « X » de l'échelle Saffir-Simpson, si la mesure de ses vents correspond au critère de cette échelle. Mais en fait, il sera classé selon l'échelle applicable à son bassin par l'Organisation météorologique mondiale (OMM).
Historique
L'échelle de Saffir-Simpson fut développée en 1969 par l'ingénieur civil Herbert Saffir et le météorologue Robert Simpson, directeur du National Hurricane Center à cette époque. Saffir avait développé cette échelle à la demande de l'OMM pour décrire les effets potentiels d'un cyclone tropical sur les infrastructures humaines. Son usage est désormais officialisé pour les bassins cycloniques de l'hémisphère ouest.
Classification des précurseurs
| Catégorie | Vents[1],[2] soutenus |
Onde de tempête |
Impacts potentiels | Exemples en image |
|---|---|---|---|---|
![]() |
≤ 63 km/h ≤ 33 nœuds ≤ 17 m/s |
0 mètre |
Beaucoup de pluie |
![]() Dépression tropicale Onze (). |
![]() |
63 à 118 km/h 34 à 63 nœuds 18 à 32 m/s |
0 à 0,9 mètre |
Beaucoup de pluie pouvant causer des inondations importantes. |
![]() Tempête tropicale Agatha en . |
Catégories d'intensité des ouragans
Les exemples cités dans la table ci-dessus ne sont applicables que pour des ouragans des bassins atlantiques et pacifiques.
| Catégorie | Vents soutenus[1],[2] | Onde de tempête |
Impacts potentiels | Exemples en image |
|---|---|---|---|---|
![]() |
119 à 153 km/h 64 à 82 nœuds 33 à 42 m/s |
1,2 à 1,5 mètre |
Les cyclones de catégorie 1 ne causent habituellement aucun dégât structurel significatif aux bâtiments ; cependant, ils peuvent causer des dommages limités aux maisons mobiles, à la végétation et aux panneaux de signalisation. Des bardeaux ou tuiles faiblement fixés sur un toit peuvent s'envoler. Des dégâts importants aux quais et jetées sont souvent associés aux cyclones de catégorie 1. Des coupures électriques peuvent survenir soit temporairement, soit pendant plusieurs jours. Malgré leur faible intensité, ils peuvent générer des vents violents et peuvent menacer la vie des personnes[2]. |
![]() Ouragan Noel à son maximum. |
![]() |
154 à 177 km/h 83 à 95 nœuds 43 à 49 m/s |
1,8 à 2,4 mètres |
Les cyclones de catégorie 2 sont suffisamment puissants pour infliger des dégâts structurels aux maisons (toits et portes). Des dommages importants à la végétation ou des déracinements d'arbres sont associés à ces cyclones. Les maisons mobiles peuvent également souffrir de dégâts importants. Des coupures électriques et un manque d'eau potable peuvent survenir durant plusieurs jours[2]. |
![]() Alex en approche du Mexique. |
![]() |
178 à 208 km/h 96 à 112 nœuds 50 à 58 m/s |
2,7 à 3,7 mètres |
Les cyclones de catégorie 3, ou plus élevée, sont qualifiés d'ouragans majeurs des bassins pacifiques et atlantiques. Ces cyclones peuvent causer quelques dommages structurels aux petites résidences et aux bâtiments. Les habitations dont les fondations ne sont pas solides, comme les maisons mobiles, sont habituellement détruites et les toits habituellement arrachés. Des dégâts sévères et irréparables sont faits aux maisons préfabriquées. Les inondations près des côtes peuvent détruire des constructions légères, tandis que des structures plus importantes peuvent être heurtées par des débris flottants. Des glissements de terrain peuvent également se produire. Des coupures d'électricité et un manque d'eau total ou quasi total peuvent survenir[2]. |
![]() Ouragan Irene, proche de son pic d'intensité. |
![]() |
209 à 251 km/h 113 à 136 nœuds 58 à 70 m/s |
4 à 5,5 mètres |
Les cyclones de catégorie 4 produisent des dégâts considérables aux toits et aux façades légères. Des dégâts irréparables peuvent être causés aux petites habitations. Une évacuation d'urgence des rivages est nécessaire, ainsi que pour les maisons de plain-pied dans un rayon de 400 mètres des côtes et des habitations ayant un seul étage sur fondations sorties de terre dans un rayon de 3 km. Ces cyclones peuvent causer une érosion importante sur les plages. Des coupures importantes d'eau potable et d'électricité peuvent se produire. |
Ouragan Floyd à son pic d'intensité au large de la Floride en 1999. |
![]() |
≥ 251 km/h ≥ 136 nœuds ≥ 70 m/s |
≥ 5,5 mètres |
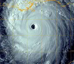
La catégorie 5 est la catégorie la plus élevée qui peut être obtenue sur l'échelle de Saffir-Simpson. Les cyclones de cette catégorie peuvent endommager considérablement les maisons et les bâtiments urbains, arracher entièrement leurs toits et même les détruire complètement[2]. De fortes crues peuvent endommager sérieusement les premiers étages de tous les bâtiments près des côtes, et de nombreuses infrastructures côtières peuvent être détruites et balayées par la houle. Des évacuations en urgence de zones résidentielles peuvent être effectuées si un cyclone d'une telle ampleur menace la population. Un très grand manque d'eau potable et des coupures d'électricité à long terme peuvent être attendus et peuvent durer jusqu'à plusieurs mois[2]. Des cyclones tropicaux d'une telle force peuvent être destructeurs et menaçants. Des exemples historiques qui ont atteint cette catégorie incluent : Ouragan Okeechobee en 1928, Camille en 1969, Edith en 1971, Gilbert en 1988, Hugo en 1989, Andrew en 1992, Katrina en 2005, Dean et Felix en 2007, Irma suivie de Maria en 2017 ainsi que Dorian en 2019. Dans d'autres bassins, les échelles équivalentes incluent le super typhon Haiyan en 2013 et le cyclone Pam en 2015. |
![]() Ouragan Katrina près de son maximum en 2005. |
- Définitions selon le Service météorologique du Canada[1], le National Weather Service américain[2],[3]
- Onde de tempête : rehaussement du niveau de la mer dû aux vents et à la pression du cyclone. Elle s'ajoute au niveau de la marée régulière le long des côtes lorsqu'un tel système s'en approche.
Critiques
Certains scientifiques, dont Kerry Emanuel et Lakshmi Kantha, ont critiqué cette échelle, car elle était selon eux trop simpliste, indiquant que l'échelle ne prend pas en compte la taille physique de la tempête et le taux de précipitations qu'elle produit[4].
Catégorie 6
À la suite de l'apparition de plusieurs systèmes dépressionnaires puissants lors de la saison cyclonique 2005 dans l'océan Atlantique nord, il a été suggéré la création d'une catégorie 6 pour désigner les cyclones produisant des vents à plus de 280 km/h[4],[5]. Seulement quelques cyclones ont été enregistrés dans cette catégorie, dont la majorité a été localisée dans le Pacifique ouest et nommés supers typhons, dont le typhon Tip en 1979 avec des vents à plus de 310 km/h[6]. Récemment, l'ouragan Patricia a été en le cyclone tropical le plus intense jamais observé dans l'hémisphère occidental en matière de pression minimale de 872 hPa et le plus fort à l'échelle mondiale en matière de vitesse maximale des vents soutenus mesurés de 343 km/h[7]. L'ouragan Irma observé début a eu des rafales à 360 km/h[8].
D'après Robert Simpson, il n'existe aucune raison suffisante pour intégrer la catégorie 6 sur l'échelle de Saffir-Simpson, car elle a été créée pour mesurer l'intensité d'un cyclone et les dégâts que pourraient causer ceux-ci aux structures construites par l'homme. Si le vent maximal d'un ouragan dépasse 249 km/h, alors les dégâts seront de toute façon considérables[9].
Notes et références
- 1 2 3 « Classification des cyclones tropicaux (stades de développement) », Le Centre canadien de prévision d'ouragan, (consulté le ).
- 1 2 3 4 5 6 7 8 (en) National Hurricane Center, « Saffir–Simpson Hurricane Scale Information », sur National Oceanic and Atmospheric Administration, (consulté le ).
- ↑ Chris Landsea, « Comment sont classés les cyclones de l'Atlantique ? », National Hurricane Center et Météo-France, (consulté le ).
- 1 2 (en) Ker Than, « Wilma's Rage Suggests New Hurricane Categories Needed », LiveScience, (consulté le )
- ↑ (en) Bill Blakemore, « Category 6 Hurricanes? They've Happened: Global Warming Winds Up Hurricane Scientists as NOAA Issues Its Atlantic Hurricane Predictions for Summer 2006 », sur ABC News, (consulté le )
- ↑ (en) Debi Iacovelli et Tim Vasquez, « Supertyphoon Tip: Shattering all records » [PDF], sur Monthly Weather Log, National Oceanic and Atmospheric Administration, (consulté le )
- ↑ (en) Todd B. Kimberlain et Eric S. Blake, « Hurricane Patricia » [PDF], Tropical Cyclone Report, National Hurricane Center, (consulté le ).
- ↑ Martine Valo, « Irma, l’ouragan le plus puissant jamais enregistré dans l’Atlantique », sur Le Monde, (consulté le )
- ↑ (en) Debi Iacovelli, « The Saffir/Simpson Hurricane Scale: An Interview with Dr. Robert Simpson », sur South Florida Sun-Sentinel, (consulté le )
Voir aussi
Articles connexes
- Cyclone tropical
- Échelles apparentées
- Échelle de Fujita, utilisée pour catégoriser les vents tornadiques
- Échelle de Beaufort, utilisée pour catégoriser les vents (général)
Liens externes
- « Tout sur les ouragans », Centre canadien de prévision d'ouragan, (consulté le )
- (en) « National Hurricane Center », National Weather Service, (consulté le )
- Portail de la météorologie













